年后首宗涉宅地块挂地!就在万达附近!

栏目 : 挂地信息 来源 : 太仓市自然资源和规划局网站 日期 : 2025-03-20

bf00242d821ea94ab12702c825d5f92a.jpg

重磅!

高新区挂牌1宗住宅用地

将于4月23日开拍


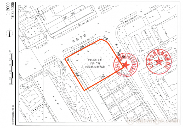
◆地块信息:

82fcf06e10416446bd103b6f3a34b8ee.png

2025-WG-6地块

df0335764498c87b5afaccfef3f61151.png

地块位于 高新区郑和路南、半泾河东,出让面积4328.9㎡,1.05<容积率≤1.5,为城镇住宅用地起始价6493万元,起拍楼面价10000元/㎡


◆规划要求:

5f50b48ba1278153ceaf995ec5d8e408.png

f155d14c512ae733004af2be0afdeced.png

ac75c407a41fb92c64709344eba8955d.png

太房热评:

该地块位于高新区郑和路南,从地块位置来看距离万达商圈较近,属于城区内较为优秀的地理位置,周边交通便利、包括新建的东郊菜场在内,学校、生活配套完善。但整体地块面积较小,未来项目体量不会很大!不过此次起拍楼面价格参考朗月名筑项目地块,土地价格有明显下降,因此该项目未来的销售价格同样值得期待!后续出让情况,我们将持续关注!


太仓房产信息咨询

添加微信,注明“买房

太房热线为您服务

    



    更多太仓楼市信息请继续关注-太房热线


1.jpg


    凡注明非太房热线来源的作品,作品版权归原发布媒体及文章作者所有。本网转载文章出于传递更多信息之目的,并不意味着赞同其观点或证实其内容的真实性,亦不构成任何建议。


免责声明:本站旨在为广大用户提供更多信息服务,不声明或保证所提供信息的准确性和完整性。页面所载内容及数据仅供用户参考和借鉴,最终以开发商实际公示为准。用户因参照本站信息进行相关交易所造成的任何后果与本站无关。如有不当,您可以联系我们:0512-53572098转802。